Aldi is powering ahead with its back-to-back debut into the Mackay Whitsundays as it receives the green light to move forward with its Cannonvale store. Read when it could open.
Heidi Petith and Fergus Gregg

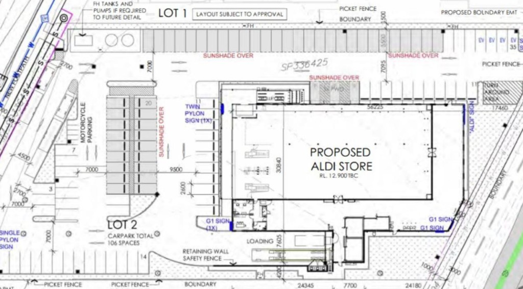
Design plans for Aldi’s new Cannonvale store between Shute Harbour Rd and Central Ave. Picture: Documents submitted to Whitsunday Regional Council
Aldi is powering ahead with its back-to-back debut into the Mackay Whitsundays as it receives the green light to move forward with its Cannonvale store.
The German retailer first submitted plans for the supermarket in late 2023, just days after crowds flocked to the opening of its first store slightly further north in Townsville.
Whitsunday Regional Council’s approval for the Whitsundays store — proposed to be built on a 7869sqm lot wedged between Shute Harbour Rd, Galbraith Park Dr and Central Ave — will expire in April 3, 2030 giving Aldi Stores six years to open doors.

Design plans for Aldi’s new Cannonvale store between Shute Harbour Rd and Central Ave. Picture: Documents submitted to Whitsunday Regional Council
The approval comes as Aldi prepares to officially open its first store in Mackay on May 15.
Documents show the Whitsundays supermarket will have a gross floor area of 1778sqm with entry from Galbraith Park Dr, and a new 1.5m wide footpath to be constructed along the entire frontage.

There are 111 designated parking spaces, some of which are shaded, including three disability spots, two large enough for caravans, and five for motorcycles.
In lodging its application, Aldi supplied a Traffic Impact Assessment which found the store was anticipated to almost double the traffic using Galbraith Park Dr to access retail stores, estimating an increase to between 220-290 motorists each day.
But it said Aldi shoppers were likely multitasking visits to nearby stores and not necessarily adding traffic onto the state-controlled Shute Harbour Rd.

The intersection between Shute Harbour Rd and Galbraith Park Dr has been the site of three hospitalisations as the result of traffic incidents. Picture: Traffic Impact Assessment submitted to Whitsunday Regional Council
The assessment added data showed there had been three crashes involving deaths or serious injuries along the Galbraith Park Dr and Shute Harbour Rd intersection over the past five years, but Aldi understood that section was to be upgraded, including with traffic signals, before its supermarket opened.
Aldi must pay $324,164.40 in infrastructure charges to the council and must also liaise with Ergon and the Department of Transport and Main Roads during the project rollout.
Construction will be limited to between 6.30am to 6.30pm Monday to Saturday excluding public holidays, and dust control measures must be put in place.